グアムといえば、綺麗な海!という事でダイビングを体験してきました!
結論から言うと、透明度の高い海でウミガメと泳げる最高の体験でした。
今回は、ウミガメに会えるダイビングツアーに参加した私の体験をもとに、グアムダイビングの魅力や注意点を詳しくご紹介します。
これからグアムでダイビングを考えている方は、ぜひ参考にしてください。
グアムの海の魅力:透明度と豊富な海洋生物
グアムの海は、驚くほど透明度が高いです。
水中から遠くまで見渡せる美しさは、まさに感動の一言。

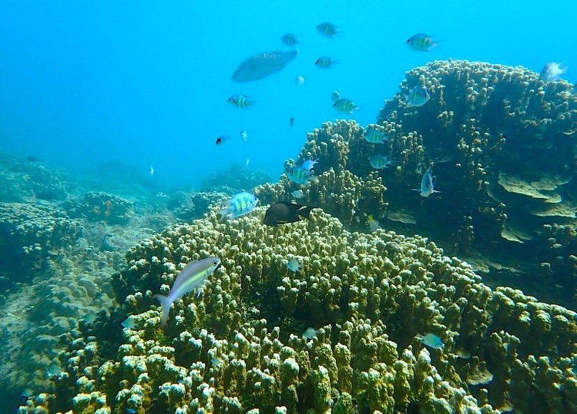
水族館の中にいるような感覚
海中に潜ると、色とりどりの熱帯魚が目の前を泳いでいます。
まるで水族館の水槽の中に自分がいるような、不思議な感覚を味わえました。
青や黄色、縞模様の魚たちが群れをなして泳ぐ姿は圧巻です。
珊瑚礁も健康的で、海の生態系の豊かさを肌で感じることができました。
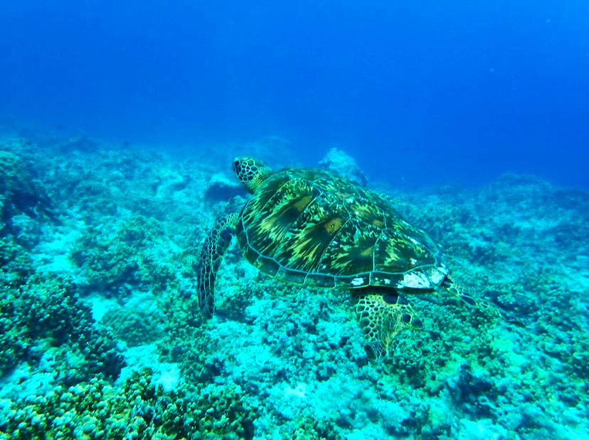
ウミガメとの遭遇:至近距離で見る感動
今回予約したのは、ウミガメに会えることを保証しているツアーです。

優雅に泳ぐウミガメの姿
実際にウミガメと出会えた瞬間は、本当に感動しました。
ゆったりと優雅に泳ぐウミガメを、こんなに近くで見られるなんて夢のようです。
ウミガメは意外と人間を怖がらず、一定の距離を保ちながら泳いでいます。
その穏やかな姿に、心が癒されました。
触ってはいけない!法律で守られているウミガメ
重要な注意点があります。ウミガメを触ることは法律で禁止されています。
どんなに近くに来ても、絶対に手を伸ばしてはいけません。
ウミガメは保護動物であり、触れることで罰金や罰則の対象になる可能性があります。
写真を撮るのは問題ありませんが、適切な距離を保つことが大切です。
私が参加したダイビングツアーの詳細
ツアー内容と料金
私が予約したのは、以下の内容のツアーでした。
- ビーチエントリーで1ダイブ
- ボートダイビングで1ダイブ
- ウミガメ遭遇保証付き
- 料金:約23,000円

ビーチダイビングでは、浅瀬で基本的な操作を練習できます。
その後、ボートで沖合のポイントまで移動してのダイビングでは、より深く美しい海の世界を堪能できました。
ツアーの流れ
- ホテルまで送迎:指定時間にピックアップしてもらえます
- ダイビングショップで説明:器材の使い方や注意事項を聞きます
- ビーチダイビング:浅瀬で練習しながら慣れていきます
- ボートで沖合へ移動:本格的なダイビングポイントへ
- ウミガメスポットでダイビング:高確率でウミガメに会えます
- 濡れたまま、ホテルへ送迎

ダイビング時の注意点:必ず知っておきたいこと
日焼け対策は絶対必須
ダイビング時の最大の注意点は日焼け対策です。
ボートの上には屋根がないため、直射日光をずっと浴びることになります。
また、海中でも水面近くでは日光が届くため、思っている以上に日焼けします。
私は日焼け止めを塗り忘れた部分が真っ赤になってしまいました。
防水タイプの日焼け止めを何度も塗り直すことが重要です。
体調管理に気をつける
ダイビング前日は、以下のことに注意してください。
- 十分な睡眠をとる
- お酒を飲みすぎない
- 体調が悪い時は無理をしない
ダイビングは体力を使います。また、耳抜きができないと耳が痛くなるため、風邪気味の時は避けた方が賢明です。
初心者でも安心のサポート体制
ダイビングが初めての方でも心配いりません。インストラクターが丁寧に教えてくれますし、常に近くでサポートしてくれます。
不安なことがあれば、遠慮せずに事前に相談しましょう。
グアムダイビングのおすすめシーズンと準備
ベストシーズンは乾季
グアムのダイビングは11月から5月の乾季がベストシーズンです。
海が穏やかで、透明度も高くなります。
雨季でもダイビングはできますが、天候に左右されやすいため注意が必要です。
持ち物リスト
ダイビングツアーに参加する際の持ち物をまとめました。
- 水着(ホテルから着用していくと楽)
- タオル
- 防水タイプの日焼け止め
- 着替え
- ビーチサンダル
- 防水カメラやスマホケース(思い出を残すために)
- 酔い止め薬(船酔いしやすい方)
多くのツアーでは器材はすべてレンタルできます。事前に確認しておくと安心です。
まとめ:グアムダイビングは最高の思い出になる
グアムでのダイビング体験は、人生で忘れられない思い出になりました。
透明度の高い海、色とりどりの魚たち、そして何よりウミガメと一緒に泳げたことが最高でした。
約23,000円という料金は決して安くありませんが、この体験を考えれば十分に価値があると感じています。
注意点を守れば、初心者でも安全に楽しめるのがグアムダイビングの魅力です。
日焼け止めの準備とウミガメへの配慮を忘れずに、素晴らしい海中世界を楽しんでください。
グアム旅行を計画している方は、ぜひダイビングツアーも検討してみてください。きっと一生の思い出になるはずです!



コメント